Działka z wydaną WZ dla budowy hali

Działka (Usługowa) na sprzedaż
1 123 605,00 PLN , Pow. 3 567 m2
Drukuj ofertę
Drukuj ofertę
Typ nieruchomości:
Działka
Powierzchnia:
3 567 m2
Typ transakcji:
sprzedaż
Lokalizacja:
Banino , Lotnicza
Numer oferty:
CY_S774883
Cena za m2:
315,00 PLN
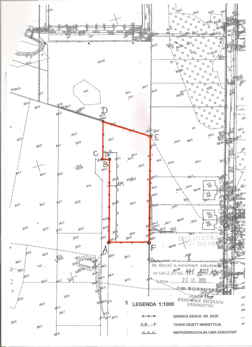
Przedmiotem oferty jest działka inwestycyjna o powierzchni 3567 m², położona w dynamicznie rozwijającej się miejscowości sąsiadującej z Baninem - Miszewko, w gminie Żukowo.
Nieruchomość znajduje się w trzeciej linii zabudowy od ul. Admirała Andrzeja Karwety, z wygodnym dojazdem drogą wewnętrzną (działka 83/32 - ustanowiona służebność przejazdu).

Najważniejsze parametry działki:
• Powierzchnia: 3567 m²
• Wymiary: ok. 90 m (długość) x 42 m (szerokość)
• Kształt: zbliżony do prostokąta
• Media: ok. 150 m od granicy działki - dostęp do sieci wodociągowej, energetycznej, kanalizacyjnej, gazowej oraz telekomunikacyjnej (ul. Karwety)

Warunki zabudowy - decyzja wydana przez Burmistrza Gminy Żukowo:


  • Przeznaczenie: zabudowa magazynowo-usługowa

  • Inwestycja: budowa hali magazynowo-usługowej

  • Powierzchnia zabudowy: do 27% powierzchni działki

  • Powierzchnia biologicznie czynna: min. 25%

  • Linia zabudowy: 6 m od granicy działki drogowej

  • Szerokość elewacji frontowej: do 60 m

  • Wysokość zabudowy: do 9 m

  • Dach: płaski


Lokalizacja i otoczenie:
Nieruchomość znajduje się w sąsiedztwie węzła obwodnicy metropolitalnej „Miszewo”, co zapewnia doskonałe połączenie komunikacyjne z Trójmiastem i innymi częściami regionu.
Wjazd na węzeł oddalony o 1100 m od działki - dogony dojazd asfaltową drogą.
W najbliższej okolicy znajduje się zabudowa mieszkaniowa, obiekty przemysłowe oraz punkty handlowo-usługowe. Dodatkowym atutem jest bliskość przystanku autobusowego.

Atuty nieruchomości:
• Atrakcyjna lokalizacja w rozwijającym się rejonie
• Gotowa decyzja o warunkach zabudowy
• Dostęp do mediów w bliskiej odległości
• Przeznaczenie idealne pod inwestycję komercyjną
• Dogodny dojazd i szybkie połączenie z głównymi trasami

Zapraszamy do kontaktu oraz na prezentację nieruchomości.

Działka o dużym potencjale inwestycyjnym - idealna pod budowę hali magazynowo-usługowej z dogodnym dostępem komunikacyjnym.

OFERTA WYŁĄCZNIE W BIURZE CEBULSCY NIERUCHOMOŚCI - TEL: . 788 091 111.
Biuro Cebulscy Nieruchomości od 2010 roku w Baninie.

POŚREDNIK ODPOWIEDZIALNY ZAWODOWO ZA WYKONANIE ZLECENIA: MAREK CEBULSKI Numer licencji: 16825 - KONTAKT WS. OFERTY: 788 091 111.

Prezentowana oferta ma charakter informacyjny, nie stanowi oferty handlowej w rozumieniu przepisów prawa. Właścicielem ogłoszenia wraz z jego elementami jest firma pod nazwą Cebulscy Nieruchomości. Wszelkie prawa zastrzeżone.
Nieprawidłowy adres E-mail